Commercial Development Tracts

For Sale

341 Griffin Ave, Eastman, GA 31023

This Eastman property for sale is located at 341 Griffin Ave. The current listed sale price for Commercial Development Tracts is $4,000,000. Commercial Development Tracts is situated on a lot that is 2.32 acre in size.

Contacts

Guy Eberhardt

Coldwell Banker Commercial Eberhardt & Barry

Property Details

  • Property Type VacantLand
  • Lot Size 2.32 Acre
  • Date Updated May 18, 2026
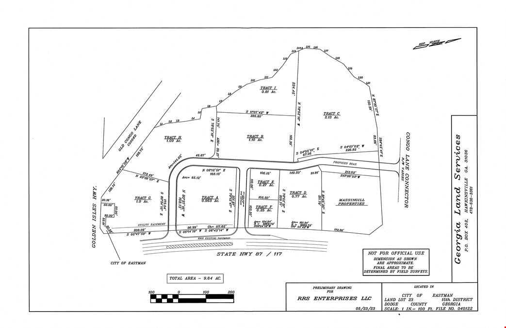
0.25 Acre - 2.32 Acre Tracts (See Plat Page 2 brochure) Divisible Lots will be filled and rough graded with utilities in place; stormwater retention pond on Tract I Two (2) access points to Griffin Avenue (HWY 87) and one (1) access road to Congo Lane Connector Zoned Commercial TRACT A: 0.96 AC TRACT B: 1.00 AC TRACT C: SOLD - C ar Wash TRACT D: 0.75 AC TRACT E: 0.28 AC TRACT F: 0.26 AC TRACT G: 1.00 AC TRACT H: 1.09 AC TRACT I: 0.81 AC
Want more info on this listing?

Reach out to the broker for more info on lease terms and amenities

Attachments

Getting around

  • 49/100

    Walk Score ®

  • 42/100

    Bike Score ®

Powered by Walk Score ®

Location

  • City Eastman, GA
  • Zip Code 31023

Points of Interest

  • Marathon

    8.37 miles

  • Piggly Wiggly

    0.46 miles

  • Walmart Supercenter

    0.77 miles

Contact Listing Broker
Guy Eberhardt

Coldwell Banker Commercial Eberhardt & Barry

This site is protected by reCAPTCHA and the Google Privacy Policy and Terms of Service apply.